
自從學會潛水後,開始喜歡這片寧靜無重力的水下內太空世界,同時欣賞著壯麗峽谷風景地形與海洋生物悠游其中,更是讓我每次潛水時最為期待的一刻,而要享受這一切的前提,就需要一只資訊精準且易於判讀的潛水電腦錶來確保潛水過程的安全無虞,特別是平時喜歡慢跑、騎車、登山健行的我來說,Garmin Descent系列不僅有著各模式豐富潛水功能,同時能滿足我平時運動需求的一錶在手,更是從學會潛水後將手中的Garmin fēnix® 5 Plus轉換為 Descent MK2s,而後更升級Descent MK3i帶給我安全穩定的潛水體驗以及完美的多元運動生活,而在2025年潛季即將到來的開端,全新發表的Garmin Descent G2潛水電腦錶,不僅進化與MK3系列一樣進化為實用的觸控AMOLED 螢幕之外,同時還推出有著3吋超大全彩螢幕、潛水資訊更為豐富清晰、專為技術潛水設計的Garmin Descent X50i潛水電腦錶,更是將Garmin Descent構築完整的潛水電腦錶陣線,這次我們就到充斥著可愛海龜的小琉球,來場嶄新的潛水旅行吧!
戴著Garmin Descent G2 & X50i潛進小琉球的使用分享開始前,先一起瀏覽影片吧!
清晰飽和大螢幕、兼具環境永續
with Garmin Descent G2
還記得2022年第一次造訪小琉球時,適逢Garmin Descent G1發表上市的時間,當時對於這款有著最高48天,甚至是Solar版可透過陽光照耀下達到無線電力的強悍續航力,同時在豐富的潛水APP之外,也享有各種水面、陸上多元運動模式,以及生活中不可或缺的悠遊卡/信用卡行動支付,同時作為潛水入門者相當親民的價格,一直印象深刻,而相隔3年後拿到全新發表的第二代Garmin Descent G2(以下簡稱G2),首先最令人為之亮眼的即是從G1的0.9吋且單色螢幕,進化為更大的1.2吋AMOLED彩色觸控螢幕,同時藉著AMOLED彩色觸控螢幕的配置下,這1.2吋的螢幕大小如同自家Descent MK3系列一樣,整個螢幕皆是完整觸控與顯示範圍,讓整體資訊介面在視覺上有著更為清晰明亮的辨識度。

攝影協力:嶼海 tuà-hái

相機:PowerShot G1 X Mark III
快門:1/1000s、光圈:f/5.6、ISO 250
而在錶殼的設計上,承襲G1海洋重生版以海洋回收塑膠重製錶殼的永續環保概念,G2不僅象徵著享受水陸運動的同時,為地球環境盡一份心力的永續生活意念之外,錶殼整體依舊保有水下100m/10 ATM的防水等級,同時整體重量變得更為輕盈的65g,此外G2配置22mm QuickFit錶帶快拆設計,讓潛水時若需穿著更為厚實的乾式防寒衣也能快速進行加長型錶帶更換,或是更換更符合自己顏色喜好的錶帶,讓這只潛水電腦錶不僅限運動使用,而是有著更融入生活的專屬個性化表徵呢!

相機:PowerShot G1 X Mark III
快門:1/13s、光圈:f/5.6、ISO 640

相機:PowerShot G1 X Mark III
快門:1/13s、光圈:f/5.6、ISO 640

相機:PowerShot G1 X Mark III
快門:1/15s、光圈:f/5.6、ISO 640

相機:PowerShot G1 X Mark III
快門:1/15s、光圈:f/5.6、ISO 640

相機:PowerShot G1 X Mark III
快門:1/15s、光圈:f/5.6、ISO 640

相機:PowerShot G1 X Mark III
快門:1/13s、光圈:f/5.6、ISO 640

截圖自Garmin
輕鬆配對、潛進小琉球與海龜同游
with Garmin Descent G2
出發前往小琉球前,首先將G2與自己的Garmin Dive APP進行配對,於是長按錶殼左上方的Light鍵開機並設定好繁體中文介面後,G2隨即透過螢幕顯示與手機進行配對的指引訊息,此時拿出手機開啟Descent系列專屬的Garmin Dive APP,按下連接Garmin裝置以及G2錶殼右上角的Start鍵進行配對,緊接著將手機掃描G2螢幕上所顯示的QR Code,即可快速完成G2與Garmin Dive APP的配對,直覺的手把手配對指引,整個過程僅2-3分鐘即可完成配對,同時藉著過往於MK3i之數據、設定的同步,讓G2能沿用過往自己習慣的潛水警示、介面配置等細節上的設定,而無須再逐步進入選單調整,一切相當輕鬆方便呢!將G2一切準備就緒後,我們前往小琉球找海龜玩吧!

相機:PowerShot G1 X Mark III
快門:1/13s、光圈:f/5.6、ISO 640

相機:PowerShot G1 X Mark III
快門:1/25s、光圈:f/5.6、ISO 640

相機:PowerShot G1 X Mark III
快門:1/13s、光圈:f/5.6、ISO 640

相機:PowerShot G1 X Mark III
快門:1/13s、光圈:f/5.6、ISO 640

相機:PowerShot G1 X Mark III
快門:1/15s、光圈:f/5.6、ISO 640
住在台北的我,出發前往看似距離遙遠的小琉球離島,其實在交通上相當方便,首先搭乘高鐵前往高雄左營站,或是台鐵前往高雄新左營站,接著走向高鐵左營站“2號”出口的「台灣好行櫃台」,購買大鵬灣琉球線前往屏東東琉線碼頭站的車票,接著走下樓前往公車乘車處的1號月台搭乘,約莫1個小時的車程即可抵達位於屏東東港的東琉線碼頭站。抵達東琉線碼頭站後,隨即搭乘航程約15-20分鐘的接駁船前往此行期待已久的小琉球,在這次與好友相約的“島氮潛水”放置好潛水裝備與行李後,吃份令人想念傳統好滋味的麗君火鍋,養足精神一夜好眠,迎接隔天早晨的G2首次潛水旅程!

相機:iPhone 13

相機:PowerShot G1 X Mark III
快門:1/40s、光圈:f/5.6、ISO 1600

相機:PowerShot G1 X Mark III
快門:1/160s、光圈:f/5.6、ISO 640

相機:iPhone 13

相機:iPhone 13

相機:PowerShot G1 X Mark III
快門:1/200s、光圈:f/7.1、ISO 640

相機:PowerShot G1 X Mark III
快門:1/80s、光圈:f/5.6、ISO 640

相機:PowerShot G1 X Mark III
快門:1/1250s、光圈:f/7.1、ISO 640

相機:PowerShot G1 X Mark III
快門:1/40s、光圈:f/5.6、ISO 1250

相機:PowerShot G1 X Mark III
快門:1/1600s、光圈:f/5.6、ISO 1250

相機:PowerShot G1 X Mark III
快門:1/250s、光圈:f/5.6、ISO 320

相機:iPhone 13

相機:iPhone 13

相機:PowerShot G1 X Mark III
快門:1/20s、光圈:f/5.6、ISO 800
早晨出發前,我與好友Scott於潛水整備區將BCD、調節器、氣瓶、配重、蛙鞋以及面鏡等輕重裝整備完畢後,在這天2支潛水活動中,我們以高氧(Nitorx)開啟潛水旅程,因此在出發前必須利用氧氣分析儀檢測高氧氣瓶內氧氣實際的濃度,並將其濃度設定於手錶之中,藉此讓G2於潛水過程中有著最正確的氧濃度數據,提供潛水員最安全的潛水最大深度與免減壓極限時間等潛水員必須了解的資訊,當氧氣分析儀顯示此行使用高氧氣瓶內的氧氣濃度為30.46%後,接著按下G2右上角的Start按鍵,進入單一氣體潛水模式APP中,此時錶面資訊預設的氧氣濃度為一般空氣的21%,因此顯示著56.2m的最大深度資訊,此時按下G2左側中間的Menu鍵進入潛水設定選單,再進入氣體選擇介面中將氧氣濃度從21%更改為31%,按下確認鍵後,此時錶面顯示最大深度隨即變為34.8m,如此一來高氧氣瓶的潛水電腦錶設定即大功告成。

相機:iPhone 13

相機:iPhone 13

相機:iPhone 13

相機:iPhone 13

相機:iPhone 13

相機:iPhone 13

相機:iPhone 13
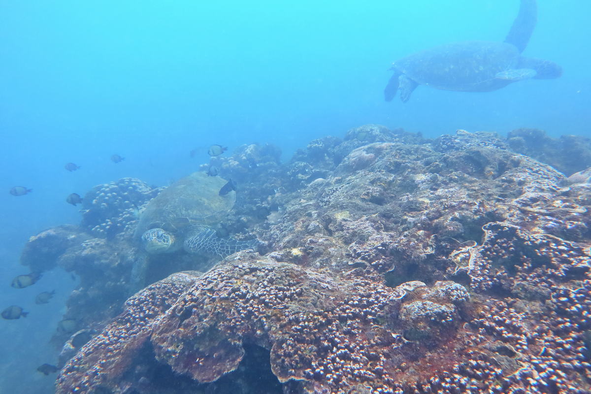
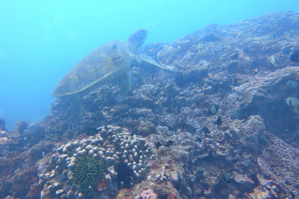
接著前往位於漁福漁港旁的沙岸,開啟氣瓶、穿好裝備,並再次確認BCD充放氣、調節器呼吸功能作動正常,以及G2進入單一氣體潛水模式後GPS定位已完成後,我們走向海洋之中,確認彼此皆做好下前的準備後,左手拿著充排氣閥高舉過頭進行BCD排氣,開始下潛探訪此處的【龍蝦洞潛點】,而在這處早期因當地漁民在此捕獲龍蝦而得名的潛點旅程中,首先沿著大片猶如翠綠草皮平坦的礁盤地形中,隨即有著可愛的綠蠵龜於此遨遊飛翔,頓時有種在河濱公園帶著狗狗一起於草皮上奔馳的有趣感呢,接著礁盤盡頭是一處近乎垂直的懸崖,此時我們緊貼著懸崖,從約3m的深度一路下潛至底部約12m的沙地,接著再往南踢動前往位於約21m的水下國旗處為終點再折返。而這一趟的潛水旅程中,除了一開始可愛的綠蠵龜做為開場之外,沿途盡是壯麗的珊瑚礁盤峽谷地形,充滿柔軟飄逸姿態的軟珊瑚,抑或是呆萌的河豚或是與海葵共生的小丑魚在此愜意悠游著,做為今年度首次下水的旅程,更是相當輕鬆愜意的暖身呢!

相機:PowerShot G1 X Mark III
快門:1/1250s、光圈:f/5.6、ISO 250

相機:PowerShot G1 X Mark III
快門:1/2000s、光圈:f/5.0、ISO 500

相機:PowerShot G1 X Mark III
快門:1/320s、光圈:f/5.0、ISO 500

相機:PowerShot G1 X Mark III
快門:1/400s、光圈:f/5.0、ISO 500

相機:PowerShot G1 X Mark III
快門:1/320s、光圈:f/5.0、ISO 500

相機:PowerShot G1 X Mark III
快門:1/100s、光圈:f/5.0、ISO 500

快門:1/40s、光圈:f/5.0、ISO 500

相機:PowerShot G1 X Mark III
快門:1/40s、光圈:f/5.0、ISO 500

相機:PowerShot G1 X Mark III
快門:1/25s、光圈:f/5.0、ISO 500

相機:PowerShot G1 X Mark III
快門:1/200s、光圈:f/5.0、ISO 640

相機:PowerShot G1 X Mark III
快門:1/250s、光圈:f/5.0、ISO 640

相機:PowerShot G1 X Mark III
快門:1/40s、光圈:f/5.0、ISO 500

相機:PowerShot G1 X Mark III
快門:1/80s、光圈:f/5.0、ISO 640

相機:PowerShot G1 X Mark III
快門:1/60s、光圈:f/5.0、ISO 640

相機:PowerShot G1 X Mark III
快門:1/100s、光圈:f/5.0、ISO 640

相機:PowerShot G1 X Mark III
快門:1/125s、光圈:f/5.0、ISO 640

相機:PowerShot G1 X Mark III
快門:1/160s、光圈:f/5.0、ISO 640

相機:PowerShot G1 X Mark III
快門:1/400s、光圈:f/5.0、ISO 640

相機:PowerShot G1 X Mark III
快門:1/640s、光圈:f/5.0、ISO 640
而上岸稍事休息後,換好氣瓶再次於龍蝦洞下潛,這次我們則是順著今日海流方向,朝向位於北側終點為從屏東林邊鄉延伸至小琉球的海底自來水管而得名的【水管潛點】,當我們從一開始平坦的礁盤盡頭開始沿著懸崖下潛時,隨即能感受海流由南往北迎面而來的衝擊,於是我們緊貼著峭壁朝向約莫20m處的海床潛進,藉此避免受到海流過多的影響,導致不必要的踢動與呼吸換氣讓體力與氣瓶殘壓過於消耗,抵達海床後,接著我們將姿態朝向北面,在海流的帶動下,開始朝北面的水管處進行放流,而在這一段放流過程中,不僅無須踢動蛙鞋就能有如飛機滑翔飛行一樣的快意奔馳感之外,同時沿途有如長草區密集的海鞭也隨著海流帶動下,就像強風吹拂著草地一樣,有著相當規律的搖曳感,在這樣的海鞭密林之間穿梭,想像著自己正在開著戰機於此來場刺激的貼地飛行,真是暢快不已呢,而最後抵達終點的海底水管,眼前這條自來水管向大海延伸的一望無際感,不僅相當壯觀,同時再隨著這條自來水管朝小琉球岸上望去,感受這自1981年才讓小琉球當地居民不需挑井水或等待來自台灣本島船運而來的淡水配給,進而開始享受便利自來水生活的海底水管,不禁感到這條當地人賴以為生的命脈工程是如此浩大且重要。

相機:PowerShot G1 X Mark III
快門:1/400s、光圈:f/5.0、ISO 640

相機:PowerShot G1 X Mark III
快門:1/160s、光圈:f/5.0、ISO 640

相機:PowerShot G1 X Mark III
快門:1/125s、光圈:f/5.0、ISO 640

相機:PowerShot G1 X Mark III
快門:1/200s、光圈:f/5.0、ISO 640

相機:PowerShot G1 X Mark III
快門:1/400s、光圈:f/5.0、ISO 640

相機:PowerShot G1 X Mark III
快門:1/640s、光圈:f/5.0、ISO 640

相機:PowerShot G1 X Mark III
快門:1/250s、光圈:f/5.6、ISO 640

相機:PowerShot G1 X Mark III
快門:1/400s、光圈:f/5.0、ISO 640

攝影協力:Scott

相機:PowerShot G1 X Mark III
快門:1/160s、光圈:f/5.0、ISO 640

相機:PowerShot G1 X Mark III
快門:1/320s、光圈:f/5.0、ISO 640

相機:PowerShot G1 X Mark III
快門:1/320s、光圈:f/5.0、ISO 640

相機:PowerShot G1 X Mark III
快門:1/1000s、光圈:f/5.0、ISO 640
在這兩次潛水旅程中,除了先將G2進行高氧潛水的濃度設定之外,在嶄新的1.2吋AMOLED彩色觸控螢幕配置下,不僅透過指尖滑移觸控達到更為直覺便利的操作手感之外,同時藉著錶面皆是滿版螢幕的設計,在潛水過程中原始介面設定下,從最主要的深度、免減壓極限時間、潛水時間/方位/上下速率,甚至是電量與當下心率等資訊,這些資訊以大小字、配置位置以及彩色游標尺顯示於錶面上,更是相當清晰透亮,一目了然當下所需的潛水資訊,同時在水下進行資訊頁面切換時,也能透過手指快速點擊錶面螢幕兩下進行切換,無須擔心因水下按著錶殼左側按鈕切換頁面時,海水細微雜質藉此進入按鈕之中的困擾。

相機:PowerShot G1 X Mark III
快門:1/15s、光圈:f/5.6、ISO 640

相機:PowerShot G1 X Mark III
快門:1/15s、光圈:f/5.6、ISO 640

相機:PowerShot G1 X Mark III
快門:1/15s、光圈:f/5.6、ISO 640

相機:PowerShot G1 X Mark III
快門:1/60s、光圈:f/5.0、ISO 500

相機:PowerShot G1 X Mark III
快門:1/125s、光圈:f/5.0、ISO 500

相機:PowerShot G1 X Mark III
快門:1/125s、光圈:f/5.0、ISO 500

相機:PowerShot G1 X Mark III
快門:1/15s、光圈:f/5.6、ISO 640

相機:PowerShot G1 X Mark III
快門:1/15s、光圈:f/5.6、ISO 640

相機:PowerShot G1 X Mark III
快門:1/15s、光圈:f/5.6、ISO 640

攝影協力:Scott
對我來說,G2與MK3 43mm配置相同的1.2吋AMOLED彩色觸控螢幕在潛水狀態下,已經有著相當清楚明瞭的資訊顯示,不過對於需要字體比例更大、更清楚辨識的長者來說,G2同樣提供大字模式的顯示功能,此時錶面最主要的即時深度、免減壓極限與潛水時間字體變得更為放大,且集中於錶面中央,同時在即將結束潛水活動的水下5米3分鐘安全停留,錶面還會以綠框標示提醒潛水員,更是相當清晰便利的顯示方式呢!

相機:PowerShot G1 X Mark III
快門:1/15s、光圈:f/5.6、ISO 640

相機:PowerShot G1 X Mark III
快門:1/640s、光圈:f/5.0、ISO 640

相機:PowerShot G1 X Mark III
快門:1/800s、光圈:f/5.0、ISO 640

相機:PowerShot G1 X Mark III
快門:1/500s、光圈:f/5.0、ISO 640

相機:PowerShot G1 X Mark III
快門:1/640s、光圈:f/5.0、ISO 640

相機:PowerShot G1 X Mark III
快門:1/15s、光圈:f/5.6、ISO 640

相機:PowerShot G1 X Mark III
快門:1/15s、光圈:f/5.6、ISO 640

相機:PowerShot G1 X Mark III
快門:1/15s、光圈:f/5.6、ISO 640





清晰全彩超大觸控螢幕
with Garmin Descent X50i & Descent T2
此行潛水除了體驗全新上市的Garmin Descent G2之外,同時也帶了從一般休閒潛水到更為硬派技術潛水活動皆提供更為全面潛水資訊的Garmin Descent X50i潛水電腦錶(以下簡稱X50i),一起前往小琉球體驗一番。首先打開這只專為潛水而生的X50i電腦錶盒裝,映入眼簾的即是印有紅底白色對角斜紋潛水旗標示的防水收納硬殼攜行包,已感受到這只電腦錶有著相當硬派且專屬潛水頂級錶款的氣勢。

相機:PowerShot G1 X Mark III
快門:0.6s、光圈:f/8.0、ISO 100

相機:PowerShot G1 X Mark III
快門:0.8s、光圈:f/8.0、ISO 100
打開攜行包,盒內除了X50i本體之外,並附著可調整的彈性尼龍腕帶與Descent系列專屬充電線,接著打開電源設定好繁體中文介面後,拿起手機開啟Garmin Dive APP與X50i進行配對,同樣僅2-3分鐘輕鬆寫意的配對完成後,X50i即可開始使用,首先X50i最為醒目的,莫過於像是金屬堅硬般的強化纖維聚合物搭配著醒目的3吋高亮度全彩觸控螢幕,提供相當厚實堅硬的耐性剛性,錶殼卻僅253g,以一只如此針對功能性的錶款來說,實在輕巧,同時對比Descent系列錶款左3右2標準按鍵配置,X50i在按鍵上則是位於螢幕下方BACK/PWR、PREV、NEXT、ENTER/TORCH共計4顆按鍵,因此在稍微不同按鍵設計配置上,在首次潛水活動使用前,在岸上熟悉各個按鍵點擊,以及長按後觸發快捷鍵功能之操作為熟悉裝備使用的首要安全觀念。

相機:PowerShot G1 X Mark III
快門:0.8s、光圈:f/8.0、ISO 100

相機:PowerShot G1 X Mark III
快門:0.8s、光圈:f/8.0、ISO 100

相機:PowerShot G1 X Mark III
快門:0.8s、光圈:f/8.0、ISO 100

相機:PowerShot G1 X Mark III
快門:0.8s、光圈:f/8.0、ISO 100

相機:PowerShot G1 X Mark III
快門:1/2s、光圈:f/8.0、ISO 100

相機:PowerShot G1 X Mark III
快門:1/13s、光圈:f/5.6、ISO 640

相機:PowerShot G1 X Mark III
快門:1/13s、光圈:f/5.6、ISO 640

相機:PowerShot G1 X Mark III
快門:1/13s、光圈:f/5.6、ISO 640

相機:iPhone 13

相機:iPhone 13

攝影協力:Scott

相機:PowerShot G1 X Mark III
快門:1/13s、光圈:f/5.6、ISO 640

相機:PowerShot G1 X Mark III
快門:1/160s、光圈:f/5.0、ISO 500
將X50i一切準備就緒後,接著此行很想體驗Garmin SubWave潛聲納氣瓶殘壓監測以及與潛伴於水下傳遞訊息溝通的功能,因此特別帶了2顆Descent T2,搭配此行的X50i與MK3i一起來場有趣的水下溝通初體驗,因此在潛水活動開始前,必須將Descent T2安裝於調節器一級頭高壓輸出口端,接著安裝於氣瓶上並打開氣瓶或是將Descent T2電池蓋打開後再旋緊,藉此將其從低功率模式下喚醒發射器回歸正常模式,然後回到X50i將主畫面下滑至設定選單並進入,再按下連結選單進入感測器與配件之中,最後在SubWave潛聲納裝置裡的發射器選單中,新增自己與潛伴的Descent T2,如此一來X50i即可在潛水活動時同步看到自己與潛伴的氣瓶殘壓,最多可配對8位潛伴的數據,彼此掌握狀況更是相當方便呢。

相機:PowerShot G1 X Mark III
快門:1/640s、光圈:f/5.6、ISO 250

相機:PowerShot G1 X Mark III
快門:1/1250s、光圈:f/5.6、ISO 640

相機:PowerShot G1 X Mark III
快門:1/4s、光圈:f/5.6、ISO 640

相機:PowerShot G1 X Mark III
快門:1/4s、光圈:f/5.6、ISO 640

相機:PowerShot G1 X Mark III
快門:1/4s、光圈:f/5.6、ISO 640

相機:PowerShot G1 X Mark III
快門:1/4s、光圈:f/5.6、ISO 640

相機:PowerShot G1 X Mark III
快門:1/4s、光圈:f/5.6、ISO 640

相機:PowerShot G1 X Mark III
快門:1/4s、光圈:f/5.6、ISO 640

相機:PowerShot G1 X Mark III
快門:1/4s、光圈:f/5.6、ISO 640

相機:PowerShot G1 X Mark III
快門:1/4s、光圈:f/5.6、ISO 640

相機:PowerShot G1 X Mark III
快門:1/4s、光圈:f/5.6、ISO 640

相機:PowerShot G1 X Mark III
快門:1/4s、光圈:f/5.6、ISO 640

相機:PowerShot G1 X Mark III
快門:1/4s、光圈:f/5.6、ISO 640

相機:PowerShot G1 X Mark III
快門:1/4s、光圈:f/5.6、ISO 640

相機:PowerShot G1 X Mark III
快門:1/4s、光圈:f/5.6、ISO 640

相機:PowerShot G1 X Mark III
快門:1/4s、光圈:f/5.6、ISO 640

相機:iPhone 13

相機:iPhone 13


相機:iPhone 13

相機:iPhone 13

相機:iPhone 13
接著我們前往杉福漁港,打開氣瓶、穿上裝備,再次確認BCD充排氣閥作動是否正常以及手中的X50i與潛伴的MK3i皆已進入單一氣體潛水模式,並透過Descent T2偵測到自己與彼此的氣瓶殘壓數值後,正式進行下潛活動,開始今天的【破沈船】與【海龜島】這2支氣瓶的潛水活動,而進入水中後,X50i的3吋大螢幕更是嶄露其潛水運動時的優勢,因為X50i的螢幕不僅只是一片大面積的螢幕,而是透過這3吋的螢幕面積,將潛水時隨時需要查看的免減壓極限時間、當下即時深度、潛水時間等重要資訊,全放置於螢幕左側1/3處,並以相當醒目的大字體進行標示,而螢幕右側2/3處,則是可以利用按鍵或快速雙擊螢幕進行羅盤方位、自己與潛伴的氣瓶殘壓即時監測、最大深度,抑或是剩餘電量、水溫,或是返回水面時間(TTS)等豐富資訊界面,如此的配置下,在檢視潛水資訊時更為完整全面,同時當只想要知道自己的免減壓極限時間、當下即時深度、潛水時間時,也無須切換螢幕介面,隨時都能一目了然。

相機:iPhone 13

鏡頭:EF24-105mm f/4L IS II USM
快門:1/50s、光圈:f/8.0、ISO 2000

相機:PowerShot G1 X Mark III
快門:1/640s、光圈:f/5.6、ISO 640

相機:PowerShot G1 X Mark III
快門:1/2000s、光圈:f/5.6、ISO 320

相機:PowerShot G1 X Mark III
快門:1/320s、光圈:f/5.6、ISO 500

相機:PowerShot G1 X Mark III
快門:1/320s、光圈:f/5.6、ISO 500

相機:PowerShot G1 X Mark III
快門:1/320s、光圈:f/5.6、ISO 500

相機:PowerShot G1 X Mark III
快門:1/250s、光圈:f/5.6、ISO 500
一目了然的即時深度、有趣訊息溝通且救命的即時協助
with Garmin Descent X50i & Descent T2
很可惜這天在杉福漁港前往破沈船與海龜島的潛水中,碰上寒流發威最強烈的一天,即便是冬季也能舒服潛水的小琉球,此時水溫也變得僅22-24度的低溫,同時從杉福漁港以岸潛的方式前往破沈船有著相當長的距離,因此這是一趟相當耗費體力與氣量的潛水,於是下潛後不斷透過手上的X50i隨時注意自己與潛伴的氣瓶殘壓之外,X50i更搭載了可顯示動態潛水曲線圖,在這動態潛水曲線中,不僅能於潛水活動中直接一覽開始下潛至現在狀態的即時深度曲線之外,X50i也會依照當下潛水的深度停留等狀況,進而換算後續上升與水下減壓停留的建議安全曲線提供潛水員參考,雖然這項功能主要用於技術潛水員,但在休閒潛水過程中,也能藉此參考,讓自己更安全的享受潛水運動呢!

相機:PowerShot G1 X Mark III
快門:1/125s、光圈:f/5.6、ISO 500

相機:PowerShot G1 X Mark III
快門:1/80s、光圈:f/5.6、ISO 500

相機:PowerShot G1 X Mark III
快門:1/100s、光圈:f/5.6、ISO 500

攝影協力:Scott

快門:1/50s、光圈:f/5.6、ISO 500
此外上述因為寒流來襲與前往破沈船需長距離踢動,進而更需謹慎監控氣瓶殘壓之外,同時在這能見度約10m的水下環境中,在專注於前往破沈船的方向移動時,除了檢視X50i螢幕上彼此的氣瓶殘壓之外,長按NEXT鍵即可開啟訊息模式,藉此透過Descent T2的SubWave潛聲納科技,讓彼此能在水下相隔30m之內的距離都能透過訊息發送,確認彼此狀況是否良好,這樣的功能不僅可在行進過程中,減少過多停下腳步回頭詢問潛伴確認狀況後再啟動的體力耗費,同時在能見度不佳的狀況下,也提供多一道確保彼此狀況的實用性,而且能在水下傳遞訊息,再收到潛伴回覆的回應,這樣的通訊真的相當有趣呢。

相機:PowerShot G1 X Mark III
快門:1/160s、光圈:f/5.6、ISO 500

相機:PowerShot G1 X Mark III
快門:1/80s、光圈:f/5.6、ISO 500

快門:1/80s、光圈:f/5.6、ISO 500

相機:PowerShot G1 X Mark III
快門:1/80s、光圈:f/5.6、ISO 500

相機:PowerShot G1 X Mark III
快門:1/50s、光圈:f/5.6、ISO 500

相機:PowerShot G1 X Mark III
快門:1/80s、光圈:f/5.6、ISO 500

攝影協力:Scott

相機:PowerShot G1 X Mark III
快門:1/100s、光圈:f/5.6、ISO 500

相機:PowerShot G1 X Mark III
快門:1/60s、光圈:f/5.6、ISO 500

快門:1/125s、光圈:f/5.6、ISO 500

相機:PowerShot G1 X Mark III
快門:1/50s、光圈:f/5.6、ISO 500
除此之外,寒流來襲真的耗費我太多體力,沒想到第2支潛水時,就在海龜島看著4-5隻海龜在這一小塊獨立礁上棲息覓食,甚至躲起來像是睡覺的可愛樣貌後,回程我居然發生小腿抽筋的狀況,而且是兩腿同時抽筋,第一次潛水抽筋真的令人感到相當意外,而且兩腿肌肉的緊縮抽痛感實在強烈的疼痛不已,此時想透過探棒敲擊氣瓶或等潛伴回頭看到我的狀況,其實都不是最佳尋求協助的選擇,而我當下直接長按X50i的BACK/PWR鍵,讓X50i直接發送尋求協助的訊息讓潛伴收到,同時X50i內建的潛水手電筒自動發出閃光進行提示,接著我開始伸長雙腿進行拉筋舒緩的動作,就在拉筋的同時,潛伴也收到我發送的訊息轉身回頭協助我一同舒緩雙腿的抽筋狀況,沒想到首次體驗水下訊息通話的有趣之於,也同步體驗了搭配Descent T2的SubWave潛聲納科技給予突發狀況的保命協助功能。

相機:PowerShot G1 X Mark III
快門:1/400s、光圈:f/5.0、ISO 400

快門:1/320s、光圈:f/5.0、ISO 500

相機:PowerShot G1 X Mark III
快門:1/250s、光圈:f/5.0、ISO 500

相機:PowerShot G1 X Mark III
快門:1/125s、光圈:f/5.0、ISO 500

攝影協力:Scott

相機:PowerShot G1 X Mark III
快門:1/200s、光圈:f/5.0、ISO 500

相機:PowerShot G1 X Mark III
快門:1/200s、光圈:f/5.0、ISO 500

快門:1/400s、光圈:f/5.0、ISO 500

相機:PowerShot G1 X Mark III
快門:1/250s、光圈:f/5.0、ISO 500

相機:PowerShot G1 X Mark III
快門:1/125s、光圈:f/5.0、ISO 500

相機:PowerShot G1 X Mark III
快門:1/200s、光圈:f/5.0、ISO 500

快門:1/200s、光圈:f/5.0、ISO 500

相機:PowerShot G1 X Mark III
快門:1/200s、光圈:f/5.0、ISO 500


相機:PowerShot G1 X Mark III
快門:1/50s、光圈:f/5.6、ISO 500

相機:PowerShot G1 X Mark III
快門:1/160s、光圈:f/5.0、ISO 500

(此為後續請潛伴配戴Descent X50i並開啟潛水燈的示意)
相機:PowerShot G1 X Mark III
快門:1/125s、光圈:f/5.0、ISO 640

鏡頭:EF24-105mm f/4L IS II USM
快門:1/60s、光圈:f/8.0、ISO 2000

鏡頭:EF24-105mm f/4L IS II USM
快門:1/60s、光圈:f/8.0、ISO 2000

鏡頭:EF24-105mm f/4L IS II USM
快門:1/250s、光圈:f/8.0、ISO 2000
不只潛水,運動、行動支付生活更是一錶在手的愜意
with Garmin Descent G2
在這2天4潛的小琉球旅程,Garmin Descent G2與X50i帶給我相當清晰豐富的潛水資訊介面,讓我能夠更安全愜意的享受潛水運動之外,平時相當熱愛慢跑、單車甚至登山健行運動的我,G2同樣能下載跑步、單車、游泳甚至是肌力訓練等超過80種運動APP讓G2構築為一只專屬自己運動生活的錶款,而當我從小琉球回到高雄時,藉著高雄港正在舉辦可愛的吉伊卡哇展覽,安排了一趟從光榮碼頭沿著高雄港區一路前往西子灣,來回共計10km的倘佯美麗港都慢跑行,又或是回到台北家中,因為北台灣冬季常伴隨著陰雨綿綿與低溫而無法好好外出運動,進而透過虛擬跑步功能與Zwift這款有趣的線上運動遊戲串聯,只要在家中藉著跑步機就能在世界上各個角落盡情慢跑運動,同時與線上的跑友一同交流,更是讓原本枯燥乏味的跑步機運動變得有趣許多呢!

相機:PowerShot G1 X Mark III
快門:1/15s、光圈:f/5.6、ISO 640

相機:PowerShot G1 X Mark III
快門:1/15s、光圈:f/5.6、ISO 640

相機:Insta360 X4

相機:Insta360 X4

相機:Insta360 X4

相機:Insta360 X4



鏡頭:EF16-35mm f/4L IS USM
快門:1/50s、光圈:f/4.5、ISO 3200

鏡頭:EF16-35mm f/4L IS USM
快門:1/50s、光圈:f/4.5、ISO 3200

鏡頭:EF16-35mm f/4L IS USM
快門:1/125s、光圈:f/5.6、ISO 5000

鏡頭:EF16-35mm f/4L IS USM
快門:1/80s、光圈:f/5.6、ISO 6400


此外G2所搭載的Garmin Pay功能不僅能綁定信用卡來行動支付之外,同時內建悠遊卡的功能,讓進行戶外運動,特別是長距離慢跑時需要飲水補給的狀況下,此時前往便利商店拎一罐飲料直接進行Garmin Pay的行動支付,再也不用額外攜帶零錢、紙鈔或是信用卡實體卡片出門,就能在運動過程中進行補給、租借騎乘Ubike甚是搭乘捷運、公車等大眾交通運輸工具以及生活購物,藉可一錶搞定,真的是愜意又方便呢!

相機:iPhone 13

相機:iPhone 13

相機:iPhone 13

相機:iPhone 13

相機:iPhone 13

相機:iPhone 13

相機:iPhone 13

相機:iPhone 13

相機:iPhone 13

相機:iPhone 13
高C/P值、更全面抑或是更專業,全憑自己需求
從到學會潛水後轉換為結合潛水、岸上運動皆一錶在手的Descent MK2s最後再升級電量續航力更高,且搭配AMOLED彩色觸控螢幕令其更為清晰以及直覺操作的Descent MK3i,這次一同體驗同樣搭載AMOLED彩色觸控螢幕全新上市的Descent G2以及有著3吋高亮度全彩觸控螢幕的頂級潛水電腦錶Descent X50i,並搭配著Descent T2發射器完整體驗Garmin潛水生態系統最完整的陣線,X50i提供大螢幕的清晰辨識下,以及提供動態潛水曲線圖等相當專業的潛水資訊運算顯示,讓X50i有著專屬潛水而生的潛水熱愛者強悍硬判安定感,而MK3i與G2則是藉著AMOLED彩色觸控螢幕加持下,有著相同的操作介面,同時在潛水活動之餘也提供使用者岸上活動、行動支付等多元的一錶在手打天下功能,其中唯一不同的是,MK3系列能搭配Descent T2發射器與其水下進行氣瓶監測與訊息溝通,適合更需要各項專業運動需求的愛好者,而G2雖然少了與Descent T2發射器串聯功能,但透過回收海洋塑膠所製成的強化纖維聚合物所製成相當環保的錶殼,不僅整體有著僅65g輕盈,同時依舊保有水下100m/10 ATM的防水等級剛性,此外同樣享有岸上/水下活動一錶在手的多元功能性,若是潛水活動時不覺得拿起殘壓錶檢視氣瓶殘壓以及與潛伴比手勢溝通有默契上障礙的話,那麼G2僅新台幣2萬2990的售價,即可享受到接近MK3系列的所有功能,也是一個入手享受豐富運動生活的高C/P值好選擇呢!

相機:PowerShot G1 X Mark III
快門:1/800s、光圈:f/5.6、ISO 400
喜歡這次戴著Garmin Descent G2與Descent X50i搭配Descent T2在小琉球潛水的分享嗎?
有機會的話點進來看看更多好玩的映像生活 Image Life
往返小琉球交通&潛水資訊(點擊即開啟連結)